Vendita Negozio

Cod. Rif. V2386


Descrizione

V2386 - Zona: Centro
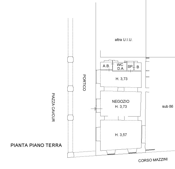
V2386 - IN ESCLUSIVA - ZONA CENTRO - SOTTO I PORTICI DI PIAZZA CAVOUR ELEGANTE NEGOZIO IN VENDITA - In contesto con alta viabilità pedonale e notevole visibilità, al piano terra di un ottimo palazzo storico con struttura portante in muratura, l'Agenzia Romagnolimmobiliare propone in vendita locale commerciale (C/1) di 117 mq composto da ampio open space, antibagno, bagno, ulteriore servizio igenico, tre vetrine sotto i portici, due vetrine in C.so Mazzini, due split aria calda/fredda, impianto elettrico e termico del 2021. IDEALE per attività in FRANCHISING e di RISTORAZIONE. Attualmente locato ad €1700 al mese. APE in classe F. IMPERDIBILE!<br /> Per info rivolgersi a Valentina Romagnoli 3498868053

Specifiche Tecniche

Stato di manutenzione:
Ottimo
Tipo di stabile:
Negozio
Target stabile:
Signorile
Piani dello stabile:
4
Anno di costruzione:
Piano:
Terra
Riscaldamenti:
A norma certificato
Cucina:
Bagni:
2
Pav. zona giorno:
Parquet
Pav. zona notte:
Parquet
Box doccia:
No
Citofono:
No
Classe Energetica:
F
Mq:
117

Mappa Zona Centro